Jak jsme chovali martináče pajasanového
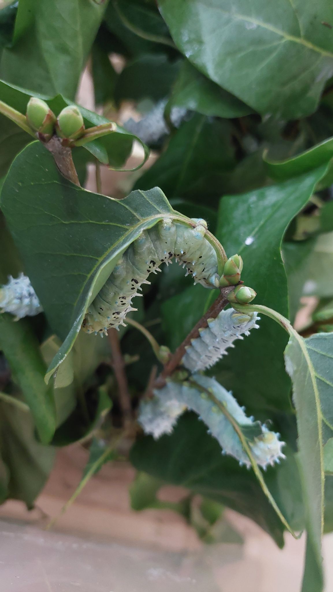
Žáci I.A pozorovali malé housenky martináče pajasanového, které jim do třídy donesla paní učitelka. Celé čtyři týdny je krmili listy šeříku, které se musely před zkrmením opláchnout, aby na nich nezůstal žádný nežádoucí parazit. Také bylo potřeba čistit krabici od trusu, velké množství by začalo plesnivět a mohlo by vést až ke smrti housenek.
Housenky pěkně přibíraly na váze a tloustly. Dobře živená housenka totiž předurčuje delší život motýla, což je od jednoho do dvou týdnů. Po čtyřech týdnech se housenky zakuklily a vytvořily kukly, které se nacházely na větvičkách zavěšené směrem dolů. Dva dny jsme je nechali ztvrdnout a přemístili je do prostoru. Vzdálenost mezi jednotlivými kuklami musí být dostatečná, při líhnutí potřebují motýli pořádně roztáhnout křídla.
V dospělém stádiu již nepřijímají žádnou potravu. Jsou velcí a krásní.
tř. uč. Mgr. Eva Janečková
